Terreno / Lote en Venta
Maza Y Cruz Videla, Maipú | Mendoza
Cochera
Metros Cubiertos
--- m2
Metros Totales
19489 m2
Agendar una visita
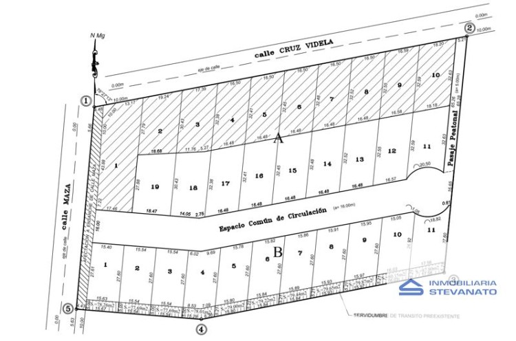
Coordinar visitaOportunidad única de inversión en Maipú. Este terreno de 19,489 m² cuenta con un proyecto aprobado para 30 fracciones, lo que lo convierte en una opción ideal para desarrolladores y emprendedores.
La parte pública tiene frente a la calle Cruz Videla y se compone de 10 fracciones, destacando una esquina de 900 m², ideal para un centro comercial o unidades habitacionales. Las 9 fracciones restantes, también con frente a Cruz Videla, tienen una superficie de 510 m² cada una (17 m de frente x 30 m de fondo).
Además, el proyecto incluye 20 terrenos destinados a urbanización en un desarrollo privado, con superficies que oscilan entre 430 m² y 530 m², todos con más de 15 metros de frente.
La propiedad cuenta con accesos asfaltados tanto por calle Maza como Cruz Videla, y dispone de servicios esenciales como agua corriente, gas natural y electricidad, garantizando comodidad y funcionalidad para futuros desarrollos. Esta es una excelente oportunidad para aquellos que buscan invertir en una zona en pleno desarrollo y expansión.
Distancia en Kilómetros desde el Inmueble a: Ruta 60: 1,1 km / carril Ozamis Sur: 1,3 km / calle Azcuénaga 2,1 km.
Todas las medidas mencionadas son aproximadas. Los datos consignados pueden contener errores y no son contractuales; verifique los mismos previamente.
¡Llámenos para conocer más en detalle esta propiedad!
Tel: 2616531842
Email: adrian@stevanato.com.ar
Inmobiliaria Stevanato
www.stevanato.com.ar
Aire Acondicionado: No
Antigüedad: ---
Apto Crédito Hipotecario: No
Cantidad de Ambientes: ---
Cloacas: No
Cochera: ---
Financiación: No
Gas: Si
Luz Eléctrica: Si
Piscina: No
Superficie Cubierta m2: ---
Superficie Total m2: 19489
Teléfono: No
Tiene Expensas: No
Valor de Expensas: ---
¿Aceptan Mascotas?: No








